$127,500
$150,000
15.0%For more information regarding the value of a property, please contact us for a free consultation.
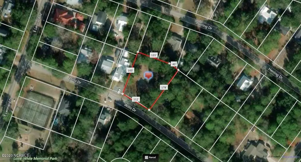
312 Willis DR Southport, NC 28461
0.53 Acres Lot
Key Details
Sold Price $127,500
Property Type Vacant Land
Listing Status Sold
Purchase Type For Sale
Subdivision Not In Subdivision
MLS Listing ID 100199258
Sold Date 02/07/20
HOA Y/N No
Annual Tax Amount $937
Lot Size 0.530 Acres
Acres 0.53
Lot Dimensions 112x178x161x160
Source Hive MLS
Property Description
Outstanding homesite located on Willis Drive!
Location
State NC
County Brunswick
Community Not In Subdivision
Zoning R
Direction From Howe Street to left onto E. Leonard Street, 2nd right on Willis Drive, lot will be on the left!
Location Details Mainland
Rooms
Other Rooms None
Exterior
Amenities Available No Amenities
Building
Lot Description None
Schools
Elementary Schools Southport
Middle Schools South Brunswick
High Schools South Brunswick
Others
Tax ID 238hf023
Acceptable Financing Cash, Conventional
Listing Terms Cash, Conventional
Special Listing Condition None
Read Less
Want to know what your home might be worth? Contact us for a FREE valuation!

Our team is ready to help you sell your home for the highest possible price ASAP



